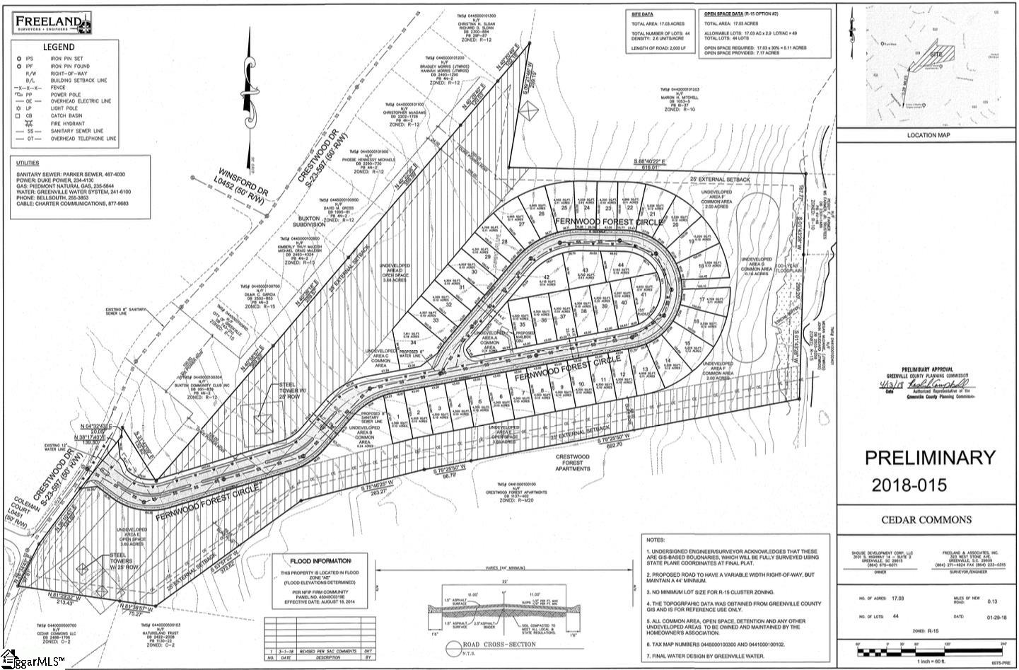
17 UNRESTRICTED acres for sale at Cherrydale minutes from Downtown Greenville! Perfect for a subdivision. Greenville County has approved the preliminary subdivision plat. Zoned R-15. Public utilities available. Call Matt Gilstrap with any questions!
Property Details
Price:
$949,000
MLS #:
1546233
Status:
Active
Baths:
0
Type:
Land
Neighborhood:
050
Listed Date:
Jan 22, 2025
Lot Size:
740,520 sqft / 17.00 acres (approx)
See this Listing
Schools
Elementary School:
Duncan Chapel
Middle School:
Lakeview
High School:
Travelers Rest
Interior
Exterior
Financial
Map
Community
- Address00 Crestwood Drive Greenville SC
- CityGreenville
- CountyGreenville
- Zip Code29609
Subdivisions in Greenville
- 100 East
- 1200 Pelham
- 623 North Main
- Abney Mills
- Adams Glen
- Alston Chase
- Alston Park
- Alta Vista
- Annacey Park
- Annandale Estates
- Antioch Springs
- Arden Woods
- Arden Woods Townhomes
- Ashby Park
- Ashford
- Ashmore Springs
- August Brook
- Augusta Acres
- Augusta Heights
- Augusta Ranches
- Augusta Road
- Augusta Road Hills
- Augusta Row
- Augusta Walk
- Avalon Reserve
- Barbrey Heights
- Bear Grass
- Beaumont
- Belhaven Parc
- Belhaven Village Townes at Holli
- Belle Meade
- Bellevue
- Bellewood Forest
- Bells Grant
- Berea Forest
- Berea Heights
- Biltmore Walk
- Birch River
- Bohemian Cottages
- Botany Woods
- Bradford Place
- Braemor
- Brandon
- Briarcreek
- Bridgeport Commons
- Bridgeport Place
- BroadView Greenville
- Brook Ridge Hills
- Brookfield East
- Brookfield West
- Brookside Forest
- Buxton
- Camden Cottages
- Camilla Park
- Cardinal Creek
- Carilion
- Carolina Heights
- Casa Loma
- Castlebrook
- Cedar Lane Gardens
- Cedar Vale
- Chandler Ridge
- Chanticleer
- Chelsea Townes at Hollingsworth
- Cherokee Forest
- Cherokee Park
- Cherrydale
- Chestnut Hills
- Chestnut Ridge
- Cimmaron
- City Lights
- City Place
- City View
- Cityhomes at McBee Station
- Claremont – Greenville
- Cleveland Forest
- Cliffs Valley
- Coachman Estates
- Cochran Heights
- College Heights
- Collins Creek
- Colonia
- Colonial Acres
- Copper Run
- Cottage Hill
- Cottages at Shoally Ridge
- Court Ridge
- Court St Condos
- Court View
- Creekside Place
- Creekside Villas
- Creekstone Villas
- Croftstone
- Croftstone Acres
- Cureton Place
- Cypress Run
- Davenport Condo
- Del Norte
- Dellwood
- Dove Tree
- Downtown
- Dukeland Park
- Dunean
- Dunean Mills
- East Highland Estates
- East Park Historic
- Eastover
- Edgewood Estates
- Emerald Commons
- Englewood Estates
- Fair Heights
- Fairfield Place
- Fairway View
- Falls Walk
- Faris Ridge
- Farmington Acre
- Fern Hollow
- Fieldstone
- Forest Ridge
- Forrester Cove
- Forrester Creek
- Forrester Heights
- Forrester View
- Forrester Woods
- Foxcroft Townes
- Franklin Heights
- Fresh Meadow Farms
- Furman Place
- Gibson Crossing
- Glen Garry
- Glendale
- Glendale Heights
- Glenlea
- Glenn Farms
- Gower Estates
- Gray Fox Run
- Green Creek
- Green Hills
- Green Valley
- Greenville Country Club
- Grove Park
- Half Mile Lake
- Hamilton Townes at Verdae
- Hampton Grove at Green Valley
- Hampton Townes
- Hampton-Pinckney Historic
- Harbor Town
- Harrington
- Hartness
- Havenhill
- Hawkins Glen
- Hawthorne Lane
- Henderson Forest
- Heritage Hills
- Hickory Heights
- Hidden Lake Estates
- Hidden Lake Preserve
- Highland
- Highview Townes
- Hollingsworth Park
- Holly Ridge
- Holly View
- Hollyton
- Hudson Acres
- Hudson Pointe
- Hue on Green
- Hunters Ridge
- Huntington
- Idlewild
- Imperial Hills
- Indian Hills
- Indigo Pointe
- Inglewood
- Isaqueena Park
- Ivybrooke
- Judson
- Judson Mill
- Jupiter Townes
- Kenwood
- Kingsgate
- Lake Forest
- Lake Forest Heights
- Lake Harbor
- Lakeside Saluda
- Lakewd On The S
- Lanneau Drive Highlands
- Latimer Square
- Laurel Creek Reserve
- Laurel Heights
- Laurel Ridge
- Legacy Park
- Lexington Place
- Liberty Park
- Linkside at Bonnie Brae
- Linkside Green
- Lofts at Mills Mill
- Lynndale
- M West Terrace Homes
- Magnolia Acres
- Maple Grove
- Maplestead Farms
- Market Point Townes
- Markley Place
- Marshall Forest
- McKenna Commons
- McNeil Court
- Meadowbrooke
- Melrose
- Melrose Place
- Merrifield Park
- Meyers Park
- Micheland Place
- Miller Heights
- Miller Park
- Mills Mill
- Mills Mill Reserve
- Monaghan
- Montague
- Monte Vista
- Montebello
- Mountain Trace
- Mountainbrook
- Nicholtown
- Ninety Eight McBee
- NOMA City Terrace
- Norden On Stone
- North Main
- North Park
- Northgate Trace
- Northwood Hills
- Oak Forest
- Oak Grove Village
- Oak Knoll
- Oak Pointe
- Oakhurst Villas
- Overbrook
- Palmetto Terrace
- Paramount Park
- Paris Glen
- Paris Mt
- Paris Mt Area
- Parkdale
- Parkins Mill
- Parkins Mill Area
- Parkins Mill Village
- Parkland Townes
- Parkland Villas
- Parkside Heights
- Parkside Villas
- Parkvale
- Pebble Creek
- Pebble Lake
- Pecan Terrace
- Pelham Oaks
- Pelham Rd Area
- Pendleton West
- Pettigru Historic
- Piedmont Park
- Pinckney Townes
- Pine Forest
- Pine Hill Village
- Pinecrest at Hollingsworth
- Pinehurst at Pebble Creek
- Plainview Heights
- Plantation Greene
- Plantation on Pelham
- Pleasant Valley
- Pleasantburg Forest
- Poe Mill
- PondiCherry
- Poplar Forest
- Reedy Falls
- Reedy Springs
- Renaissance Place
- Richland at Cleveland Park
- Richland Creek at North Main
- Richmond Hills
- Ridge Park
- Ridgeland at the Park
- Ridgestone Cottages
- Riley Trace
- River Breeze
- River Mist
- River Run
- River Valley
- Riverbend Condos
- Riverdale
- Riverdale Acres
- Riverside
- Riverstone
- Riverview
- Rockview Height
- Rocky Creek Acres
- Rolling Green Village
- Roper At Pelham
- Roper Mountain Estates
- Roper Mountain Plantation
- Saluda Bluffs
- Saluda Lake
- San Souci Heights
- Sedona
- Shadow Moss
- Shady Acres
- Shamrock Acres
- Shannon Forest
- Sharon Park
- Sherwood Forest
- Shoally Ridge
- Southwood Acres
- Spaulding Farm
- Spring Forest
- Springs Station
- Stone Lake
- Stonebrook Farm
- Stratford Forest
- Stratford Point
- Summerfield
- Summersett Place
- Sunset Hills
- Swansgate
- Tanglewood
- Tanglewood Townes
- Tanner Estates
- Tanner Mill
- Taylor Oaks
- Terra Pines
- The Avant
- The Cottages at Overbrook
- The Cove at Butler Springs
- The Edge on North Main
- The Heights
- The Kitson
- The McDaniel
- The Oaks at Roper Mountain
- The Park Downtown
- The Ridges at Paris Mountain
- The Summitt at Pelham Springs
- The Townes at Pine Grove
- The Village at Chapel Green
- The Vista
- Thistledown
- Three Bridges
- Tinsley Place
- Town Park
- Townes at Cardinal Creek
- Townes at Cherrydale
- Treybern
- Twin Lake Cottages
- Twin Lakes
- Unity Village
- University Heig
- University Park
- University Place
- Vardy Vale
- Victor Monaghan
- Village@Townes
- Vista Hills
- Warrenton
- Washington Park East
- Waterstone Cottages
- Watson Orchard
- Webster Estates
- Welcome
- Wellington Green
- Westcliffe
- Western Hills
- Westview
- Wetherill Park
- White Oak Ridge
- Wildaire
- Williamsburg
- Windsor Park
- Windstone
- Woodland Hills Greenville 010
- Woodland Pointe
- Woodlands
- Woodruff Crossing, The Townes at
- Woods at Bonnie Brae
- Woodside Mill
- Woodstone Cottages
- Woodville Heights
- Wyndermere
- Yorktown Condos
Market Summary
Current real estate data for Land in Greenville as of Oct 29, 2025
154
Land Listed
289
Avg DOM
$468,153
Avg List Price
Property Summary
- 00 Crestwood Drive Greenville SC is a Land for sale in Greenville, SC, 29609. It is listed for $949,000 and features 17 acres. To schedule a showing of MLS#1546233 at 00 Crestwood Drive in Greenville, SC, contact your Reliable Home Advisors agent at 864-525-2742.
Similar Listings Nearby
Listing courtesy of Matthew Gilstrap at Real Broker, LLC
© 2025 The data relating to real estate for sale on this web site comes in part from the MLS of Greenville, SC This information is deemed reliable, but not guaranteed. Neither, the MLS of Greenville, SC, nor the listing broker, nor their agents or subagents are responsible for the accuracy of information. The buyer is responsible for verifying all information. This information is provided by the MLS of Greenville, SC for use by its members and is not intended for the use for any other purpose.
© 2025 The data relating to real estate for sale on this web site comes in part from the MLS of Greenville, SC This information is deemed reliable, but not guaranteed. Neither, the MLS of Greenville, SC, nor the listing broker, nor their agents or subagents are responsible for the accuracy of information. The buyer is responsible for verifying all information. This information is provided by the MLS of Greenville, SC for use by its members and is not intended for the use for any other purpose.
00 Crestwood Drive
Greenville, SC
